
Sixty-four.
1919-1920
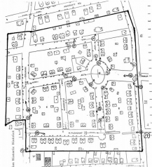
For description see National Register application: http://pdfhost.focus.nps.gov/docs/NRHP/Text/90000603.pdf.
This development was built by the United States Government under the auspices of the United States Housing Corp. The United States Housing Corp. was established on July 9, 1918 and was the first Federally sponsored housing program in the country. The organization’s initial purpose was to provide wartime housing during the First World War, however, the New London project was actually initiated and completed after the war’s conclusion (between 1919 and 1920). It consisted of 64 single- and two-family wood-frame houses built according to eight standardized Colonial Revival designs. The district includes all of these residences, as well as 51 additional houses built by local developers who had purchased excess housing lots from the United States Housing Corp. after the war.